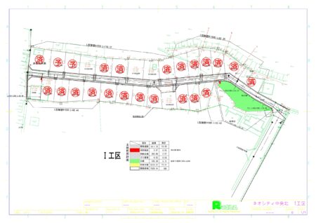
166.23㎡(50.28坪)~ 225.74㎡(68.28坪)
4,650,000円 ~ 8,160,000円
東桜学館中高まで 約1,700m
中部小学校まで 約1,400m
第一中学校まで 約2,000m
ヨークベニマル東根店まで 約1,500m
JR東根駅まで 約1,400m
JRさくらんぼ東根駅まで 約1,700m
166.23㎡(50.28坪)~ 225.74㎡(68.28坪)
4,650,000円 ~ 8,160,000円
東桜学館中高まで 約1,700m
中部小学校まで 約1,400m
第一中学校まで 約2,000m
ヨークベニマル東根店まで 約1,500m
JR東根駅まで 約1,400m
JRさくらんぼ東根駅まで 約1,700m


| 駐車場 | 取引態様 | 売主 | |
|---|---|---|---|
| 引渡/入居時期 | 現況 | ||
| 地目 | 用途地域 | 第一種中高層住居専用地域 | |
| 建ぺい率 | 60% | 容積率 | 200% |
| 周辺環境 |
東根中部小学校 東根第一中学校 |
||
| 設備・条件 | |||
| 物件番号 | |||
| 特記事項 |
電柱計画未確定 |
||